Yenimahalle'de Trafo Alanı İçin İmar Planı Değişikliği Onaylandı

Yenimahalle

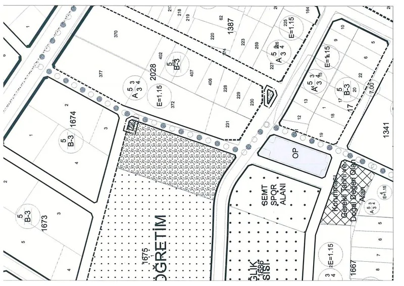
Yenimahalle 1674 ada 3 parselin güneyindeki alanda 'Trafo Alanı' amaçlı Uygulama İmar Planı değişikliği, belediye meclis kararlarıyla kabul edildi ve bir ay süreyle askıya çıkarıldı.

Yenimahalle 1674 ada 3 parselin güneyindeki alana 'Trafo Alanı' amaçlı Uygulama İmar Planı (UİP) değişikliği teklifi, Bandırma Belediyesi Meclisi'nin 7 Ekim 2025 tarih ve 92 sayılı kararı ile kabul edildi.

Büyükşehir Onayı ve Askı Süreci

Onaylanan plan değişikliği teklifi, daha sonra Balıkesir Büyükşehir Belediyesi Meclisi'nin 13 Ocak 2026 tarih ve 107 sayılı kararı ile onandı. 3194 sayılı İmar Kanunu'nun 8/b maddesi uyarınca, değişiklik bir ay süreyle ilan edilmek üzere askıya çıkarıldı ve Bandırma Belediyesi'nin internet sitesinde yayınlandı.

İlan Duyurusu

Konuyla ilgili taraflara ilanen duyuruldu. Duyuru tarihi 3 Şubat 2026 olarak belirlendi.


Balıkesir,Bandırma Belediyesi

Balıkesir,Bandırma Belediyesi
belediye365.com

GENEL 4.02.2026 14:58:57 0

Nilüfer Belediye Başkanı Şadi Özdemir, Huzurevlerini ve Alzheimer Konukevi'ni Ziyaret Etti

18-24 Mart Yaşlılara Saygı Haftası ve Ramazan Bayramı vesilesiyle gerçekleştirilen ziyaretlerde, yaşlılar 'kentin hafızaları' olarak nitelendirildi. Başkan Özdemir, sosyal belediyecilik anlayışını vurguladı.

Nilüfer'de Sağlıklı Yaş Alma Semineri Gerçekleştirildi

Nilüfer Belediyesi'nin Yaşlılara Saygı Haftası etkinlikleri kapsamında düzenlediği seminerde, geriatri uzmanları aktif ve sağlıklı yaşlanmanın yollarını katılımcılarla paylaştı.

Yalova'da Tiyatro Günleri Sanatseverleri Buluşturmaya Devam Ediyor

Yalova Belediyesi'nin Dünya Tiyatrolar Günü kapsamında düzenlediği Tiyatro Günleri'nde 'Sevgili Doktor' oyunu sahnelendi, büyük beğeni topladı.

Erzincan Belediye Başkanı Bekir Aksun, Hacı Bektaş Veli Kültür Vakfı Cemevi'ni Ziyaret Etti

Erzincan Belediye Başkanı Bekir Aksun, Vali Hamza Aydoğdu ve protokol üyeleriyle birlikte Hacı Bektaş Veli Anadolu Kültür Vakfı Erzincan Şubesi Cemevi'ni ziyaret ederek, yönetimle bir araya geldi.

Türkiye’nin “yeşil yaka” profesyonelleri SustainHUB Academy’den mezun oldu

Türkiye’nin “yeşil yaka” profesyonelleri SustainHUB Academy’den mezun oldu

Karaciğer yağlanması siroz ve kanser riskini artırabilir

Karaciğer yağlanması siroz ve kanser riskini artırabilir

Odunpazarı Tekstil Atölyesi Dijitalde: Kadın Emeği Türkiye'ye Açılıyor

Odunpazarı Belediyesi'nin tekstil atölyesi, yeni web sitesi ile belediye ve kamu kurumlarına hizmet vermeye başladı. Kadın emeğiyle üretilen üniforma ve promosyon ürünleri artık dijital platformdan sipariş edilebiliyor.

Kırşehir'de Kitap Topluluğu, 'Bin Muhteşem Güneş' Romanını Ele Aldı

Kırşehir Belediyesi OkuYorum Kitap Topluluğu, mart ayı buluşmasında Khaled Hosseini'nin 'Bin Muhteşem Güneş' adlı romanını kritik etti.

Muratpaşa Belediyesi, Yapay Zeka ile Görsel Üretim Atölyesi Düzenliyor

Akdeniz Toplum Gönüllüleri Vakfı iş birliğiyle düzenlenen iki farklı yapay zeka eğitimi için başvurular başladı. Kontenjanı 60 kişi ile sınırlı olan programlar, 4 Nisan'da başlayacak.

Ardahan'da Nevruz Kutlamaları Gerçekleştirildi

Ardahan'da düzenlenen Nevruz etkinliğinde protokol üyeleri demir dövüp yumurta tokuşturdu. Ateşin yakılmasının ardından katılımcılar üzerinden atlayıp halay çekti.

Türkiye’nin Gençlerdeki Bilim Tutkusunu Ödüllendirdiği Iamgenius’a Son Başvuru Tarihi 30 Mart’a Uzatıldı

Türkiye’nin Gençlerdeki Bilim Tutkusunu Ödüllendirdiği Iamgenius’a Son Başvuru Tarihi 30 Mart’a Uzatıldı

OSD’nin Yönetim Kurulu Başkanlığı’na Yeniden Cengiz Eroldu Seçildi!

OSD’nin Yönetim Kurulu Başkanlığı’na Yeniden Cengiz Eroldu Seçildi!

Aksaray'da Trafiği Rahatlatacak Yeni Çevre Yolu Projesinde Çalışmalar Devam Ediyor

Aksaray'da şehir içi trafiğini hafifletmek ve Ankara yolundan gelen araçları şehir merkezine sokmadan Konya ve Adana yönlerine bağlamak için planlanan yeni çevre yolunun altyapı çalışmaları sürüyor.

Kayseri'de Kartal Kavşağı Projesi Gece Yarısı Çalışmalarına Başladı

Kayseri Büyükşehir Belediyesi, Kartal Katlı Kavşağı ve Bağlantı Yolları Projesi'ni gece yarısı trafiğe kapatarak uygulamaya aldı. Proje, 9 ayda tamamlanarak trafik akışını iyileştirmeyi hedefliyor.

Yalova'da Toplu Taşıma Sürücülerine Yönelik Eğitim Programı Başlıyor

Yalova Belediyesi, şehir içi toplu taşıma hizmeti veren sürücülerin mesleki ve kişisel gelişimine katkı sağlamak amacıyla eğitim programı düzenleyecek. Program, Mart 2026'da gerçekleştirilecek.

Samsun'da Üç Yeni Proje Hizmete Girecek

Samsun Büyükşehir Belediyesi'nin İstiklal Meydanı, Samsun Tanıtım Merkezi ve Astorya projeleri 27 Mart Cuma günü açılıyor.

Yalova'da Dünya Tiyatro Günü Etkinlikleri Finale Hazırlanıyor

Yalova Belediyesi'nin düzenlediği üç günlük tiyatro şöleni, 30 Mart'taki 'Sabotaj' oyunuyla sona erecek. Etkinlikler, her yaştan sanatseveri sahneyle buluşturdu.

“Sağlıklı Körfez” için bilimsel seferberlik

“Sağlıklı Körfez” için bilimsel seferberlik

Kayseri'de 150 Öğrenci ile Dünya Down Sendromlular Günü Etkinliği Düzenlendi

Kayseri Büyükşehir Belediyesi Spor A.Ş., 21 Mart Dünya Down Sendromlular Günü'nde 150 öğrencinin katıldığı spor ve etkinlik programı gerçekleştirdi.

Pendik Belediye Başkanı Ahmet Cin, Liseli Öğrencinin Kamp Talebini Yerine Getirdi

Pendik Alparslan Anadolu Lisesi son sınıf öğrencisi Sukeyna Koyun, Belediye Başkanı Ahmet Cin'e ilettiği isteğin ardından Gençlik Kampı'nda ağırlandı. Koyun, kampın doğal ortamında gerçekleştirilen aktivitelerden memnuniyetini dil

ÇOLAKOĞLU METALURJİ’NİN YILDIZ ESKRİMCİLERİ TÜRKİYE’Yİ İSPANYA’DA TEMSİL EDECEK

ÇOLAKOĞLU METALURJİ’NİN YILDIZ ESKRİMCİLERİ TÜRKİYE’Yİ İSPANYA’DA TEMSİL EDECEK